Ein- oder Zweifamilienhaus
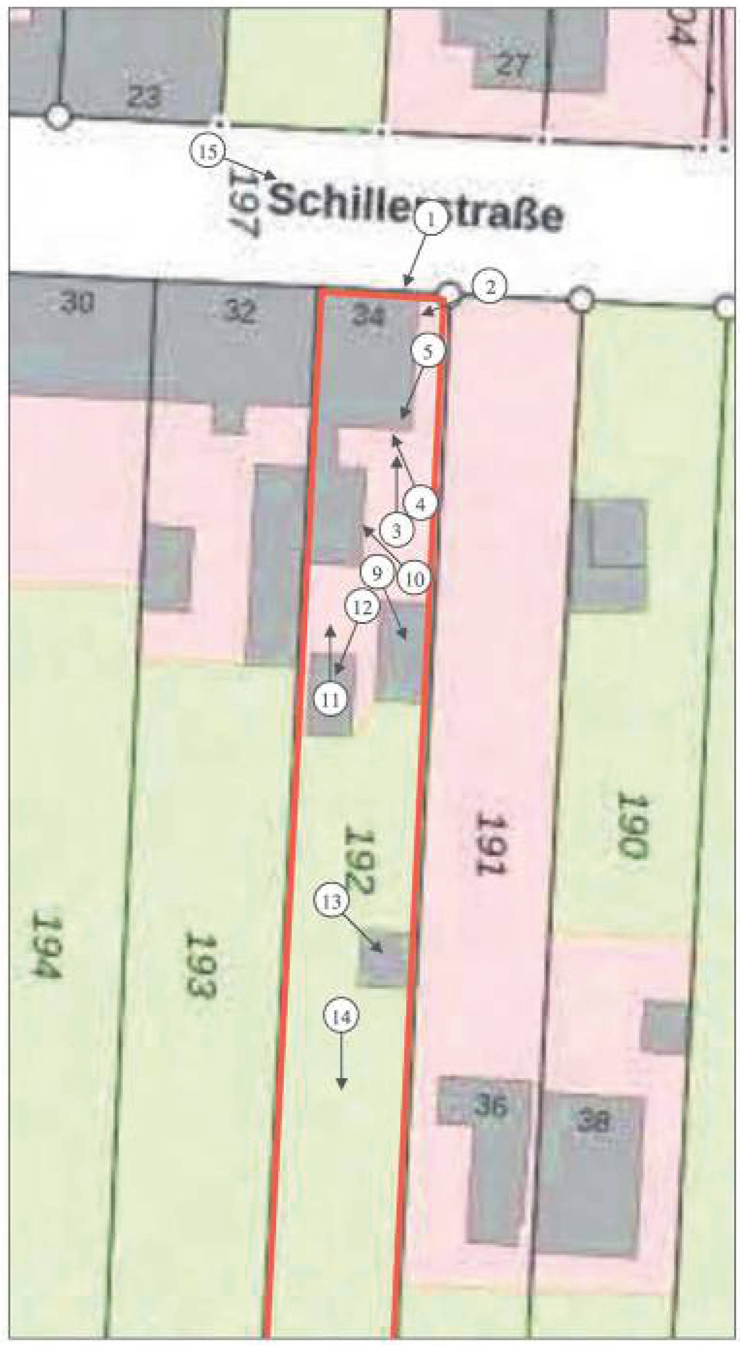
Schillerstraße 34, 39517 Tangerhütte
120.000 €




























Schillerstraße 34, 39517 Tangerhütte
Premium-Feature
7 Tage kostenlos TestenLeichte Feuchtigkeitsschäden im Kellerbereich. Sanierungsbedarf an der Außenfassade.
Premium-Feature
7 Tage kostenlos TestenGrundschuld zugunsten der Sparkasse München. Hypothek über 150.000 €.
Premium-Feature
7 Tage kostenlos TestenPremium-Feature
7 Tage kostenlos TestenPremium-Feature
7 Tage kostenlos TestenDas Gebäude befindet sich in einem guten Zustand. Die Fassade wurde vor kurzem renoviert und zeigt keine größeren Mängel. Das Dach ist intakt und wurde 2018 erneuert.
Die Innenräume sind gepflegt und modernisiert. Böden in gutem Zustand, Elektrik entspricht aktuellen Standards. Küche und Badezimmer wurden vor 5 Jahren erneuert.
Die Innenräume sind gepflegt und modernisiert. Böden in gutem Zustand, Elektrik entspricht aktuellen Standards. Küche und Badezimmer wurden vor 5 Jahren erneuert.
Premium-Feature
7 Tage kostenlos TestenMassivbauweise aus dem Jahr 1985. Ziegeldach mit Betondachsteinen. Keller vorhanden und trocken. Fundament in gutem Zustand ohne erkennbare Setzungsrisse.
Regelmäßige Wartung und Pflege erkennbar. Heizungsanlage wurde 2020 gewartet. Fassade in gutem Zustand, letzte Renovierung 2019. Dachrinnen und Fallrohre intakt.
Energetische Sanierung 2018 durchgeführt. Neue Fenster mit Dreifachverglasung installiert. Dämmung der Außenwände nach EnEV-Standard erneuert.
Keine bekannten Baulasten eingetragen. Grundbuch zeigt keine Belastungen bezüglich Baubeschränkungen oder Durchfahrtsrechte.
Premium-Feature
7 Tage kostenlos TestenDas Objekt wurde am 10.03.2025 von außen besichtigt und das Grundstück konnte betreten werden. Eine Innenbesichtigung des Wohnhauses war aus technischen Gründen nicht möglich, daher basiert die Bewertung des Innenzustandes auf den vorhandenen Unterlagen sowie Annahmen und äußeren Eindrücken. Die Fotodokumentation entstand beim Ortstermin.
Das Hauptgebäude ist ein einseitig angebautes, unterkellertes, eingeschossiges Ein- oder Zweifamilienhaus mit ausgebautem Dachgeschoss und Badanbau. Es wurde 1932 errichtet und 2010 sowie 2023 modernisiert, wobei 2023 ein begonnener Innenausbau erfolgte, der nicht fertiggestellt wurde. Die Wohnfläche beträgt ca. 107 m², die Bruttogrundfläche 235 m². Der Grundriss nach dem Umbau ist nicht abschließend bekannt, die alten Grundrisse liegen als Anlage bei.
Das Gebäude ist massiv gebaut und steht auf Streifenfundamenten mit Mauerwerksaußenwänden bis zu 30 cm, Holzbalken- und Massivdecken, einer Geschosstreppe aus Holz und einem Satteldach (Holzkonstruktion) mit Betondachstein und Dämmung. Die Fassade besteht aus Klinkerriemchen. Fenster sind hofseitig als Kunststoff-Isolierglasfenster, straßenseitig Holzfenster älteren Baujahrs mit Rollläden vorhanden. Die Heizungsanlage ist eine Gas-Zentralheizung aus 2010, das Gebäude ist über das öffentliche Netz mit Wasser, Gas, Strom und Kanalisation versorgt. Belichtung und Besonnung des Gebäudes sind gut. Das Gebäude ist nach außen baulich in überwiegend modernisiertem Zustand, weist jedoch Fertigstellungsdefizite, insbesondere im Sanitärbereich, auf sowie eine insgesamt nicht durchgehend zweckmäßige Grundrissgestaltung.
Auf dem Grundstück befinden sich mehrere Nebengebäude. Direkt am Badanbau schließt ein zweigeschossiges massives Nebengebäude mit Pultdach (Wellasbestplattendeckung) und Holztor an, das als Abstellraum dient. Daran grenzt ein Holzunterstand, dahinter die Reste eines Gartenhauses.
Am Ende der Hoffläche steht eine massive Einzelgarage mit Pultdach und einfach gehaltenem Ausbau. Im hinteren Grundstücksbereich ist ein Gartenhaus in Holzbauweise in schlechtem baulichen Zustand, das bei der Wertermittlung nicht wertansetzend berücksichtigt wurde.
Zum Wertermittlungs-Stichtag war das Objekt ungenutzt. Das Haus wurde nach vorliegenden Angaben zu einem Zweifamilienhaus umgebaut. Es liegen Fertigstellungsdefizite vor, so dass keine Nutzung erfolgte. Das Grundstück ist nicht vermietet.
Verkehrswert: 120.000,00 €
Premium-Feature
7 Tage kostenlos TestenAls Eigentümer können Sie uns zusätzliche Informationen zu Ihrer Immobilie zur Verfügung stellen, die potentiellen Interessenten helfen könnten. Dies kann sich positiv auf das Versteigerungsergebnis auswirken.
Kontaktieren Sie uns per E-Mail unter info@zvgscout.com mit dem Kennzeichen: 7 K 25-24-ein-zweifamilienhaus-mit-nebengebaeuden-und-garage-1128718.
(Berechnet auf Basis des Verkehrswerts als Zuschlagswert)
(verzinster Betrag: 108.000 €)
Alle Angaben und Berechnungen von ZvgScout sind ohne Gewähr.
Detaillierte Kostenaufstellung & Rechner
Musterstraße 12, 12345 Musterstadt
Supermarkt
Schulweg 8, 12345 Musterstadt
Schule
Bahnhofsplatz 1, 12345 Musterstadt
ÖPNV
Alle oben gemachten Angaben ohne Gewähr. ZvgScout übernimmt keine Haftung für die Richtigkeit und Vollständigkeit der dargestellten Informationen.